Inteligencia Económica y
Estrategias de Negocios

Informacion de contacto

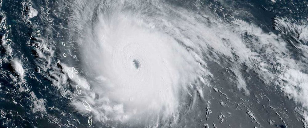
Madurando el default

Madurando el default

La escasez de productos de primera necesidad, los constantes enfrentamientos armados entre ciudadanos y militares, la violación de los derechos humanos y la desaparición de la democracia, desembocaron en sanciones financieras que inminentemente afectarán el futuro de la economía de Venezuela. En busca de la solución más favorable, el gobierno [...]

Read More
En lo que el hacha va y viene

En lo que el hacha va y viene

Desde inicios de 2014, la economía dominicana logró mostrar un excelente desempeño económico. Trimestre a trimestre pudimos ver altos niveles de crecimiento atado a bajas tasas de inflación, fluctuaciones cambiarias estables, dinamización de los préstamos, reducciones del desempleo, entre muchas otras cosas. Se reconoce que dicho dinamismo fue el producto [...]

Read More
Adictos al crecimiento

Adictos al crecimiento

Desde el tercer trimestre de 2013 al primero de 2017 la economía dominicana mantuvo un crecimiento interanual de su Producto Interno Bruto (PIB) por encima de 5%, su tendencia de largo plazo. Este nuevo normal nos enseñó a esperar tasas de expansión altas en perpetuidad, haciéndonos en la práctica adictos [...]

Read More
Crónicas de una normalización anunciada

Crónicas de una normalización anunciada

¡El tío Sam lo hace de nuevo! En un país como República Dominicana es inevitable dedicar unas líneas al fenómeno sin precedentes que protagoniza uno de los escenarios más relevantes a nivel internacional. En la palestra económica escala cada día el debate sobre el programa de normalización monetaria estadounidense; el [...]

Read More

Metamorfosis de los indicadores de pobreza

Hemos sido partícipes en la tarea de considerar pobres a las personas que sobreviven con 1.25 dólares al día o menos, es decir, que hemos limitado el ingreso como único insumo para la medición de la pobreza, evidenciando que el enfoque monetario ha predominado sobre las demás perspectivas. Pero ¿es [...]

Read More
Facturando a los estudiantes

Facturando a los estudiantes

La educación es uno de los derechos humanos fundamentales, siendo capaz de transformar sociedades para bien y apoyar el desarrollo de las naciones; su poder no puede ser subestimado. Por lo anterior, es una pena que algunas iniciativas de los participantes del sector no parezcan estar potenciando el desarrollo académico [...]

Read More